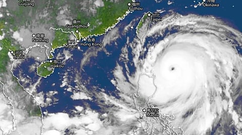
Super Typhoon Ragasa Brings Severe Disruption to Ports and Shipping in Southern China
After lashing the Philippines, super typhoon Ragasa is heading to Taiwan, Hong Kong, South China. Hong Kong is bracing for hurricane force winds as Ragasa approaches South China, shipping lines and port authorities are grappling with substantial disruptions in both air and ocean freight.
With sustained winds expected to reach 230 km/h, Ragasa is expected to pass just south of Hong Kong later today and make landfall in Guangdong Province on Wednesday, triggering widespread safety and logistics concerns.
Port Closures and Operational Shutdowns
Major container terminals across Shenzhen, Hong Kong, and Guangzhou, including Yantian, were closed as early as Monday. Other facilities in Nansha, Chiwan, Shekou, and Da Chan Bay also shut operations. Officials indicate that these closures are among the longest lasting in recent years, with port operations expected to remain suspended for several days, leading to 4-or-5-day delays in shipments.
Air Freight and Time-Sensitive Cargo at Risk
Air operations are also severely affected. Cathay Pacific has suspended all flights in and out of Hong Kong for at least the next two days. Other international airlines are likewise cancelling services to avoid flying into dangerous conditions.
Insight: How to Navigate the 'New Normal' of Rising Costs and Global Supply Chain Disruptions
This poses acute risks for goods that cannot afford delay - pharmaceuticals, perishables, e-commerce packages - especially those awaiting transit through Hong Kong, one of the world’s busiest cargo hubs.
Cargo backed up both in the air and on the ground is expected to strain handling capacity once operations resume.
Broader Economic and Supply Chain Implications
The closures and suspensions threaten to ripple through supply chains: delays in unloading containers, congestion of ships at anchorage, increased dwell times, and possible rerouting of vessels to less-affected ports. Businesses depending on just-in-time inventory will likely feel the impact first.
Authorities warn the backlog could take several days to clear even after Ragasa weakens and conditions stabilize. Ship owners, freight forwarders, and exporters are scrambling to adjust schedules.
Recovery and Forecast
Recovery efforts are scheduled to begin by Thursday, pending storm trajectory and wind speeds subsiding. However, port authorities caution that the scale of disruption means swift return to normal operations is unlikely.
As Ragasa moves inland, monitoring continues closely. Both public safety and commercial viability remain in delicate balance.
Read More: Insight - eCommerce and the Evolution of Retail Logistics

